Agronomic Spotlight

Leaf Blight Diseases of Carrot

Click here to download a PDF version of this spotlight.

» Leaf blight diseases of carrot can reduce marketability, yield, and harvest efficiency.
» Warm and wet conditions favor the development of carrot leaf blights.
» Leaf blight management practices include, sanitation, crop rotation, use of tolerant varieties, and chemical applications. 

Foliar diseases can reduce marketable yields of carrot in several ways. Damage to the leaves reduces the production of photosynthates (sugars), which are needed for the growth and development of the root, resulting in smaller roots. For carrots that are mechanically harvested, foliar tissues weakened by disease can break off during the lifting process, leaving the root in the ground. And for carrots that are sold with their tops, disease symptoms on the leaves will reduce marketability of the product. Alternaria, Cercospora, and bacterial leaf blights, along with powdery mildew, are some of the most damaging foliar disease of carrot.

ALTERNARIA LEAF BLIGHT

Alternaria leaf blight is the most common foliar disease of carrot, causing a loss of leaves and reduced yields when severe.1,2 Petioles weakened by the disease can break off during mechanical harvest, reducing harvest efficiency because of roots left in the field.1,3 Two species, Alternaria dauci and Alternaria radicina, can infect carrot leaves, but A. dauci is the most common cause of leaf blight. A. radicina more commonly infects the roots causing black rot.

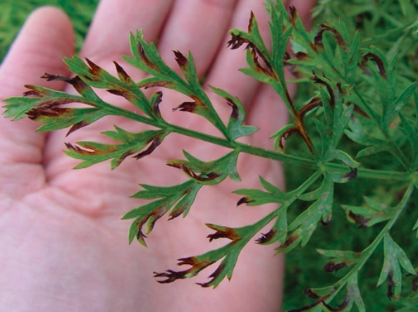
Alternaria leaf blight usually develops first on older leaves. Symptoms initally appear as greenish-brown, water-soaked lesions, usually on the leaf margins (Figure 1). Lesions enlarge, turn dark brown to black, and are surrounded by a yellow halo. Under favorable conditions, the lesions can coalesce. When over 40% of a leaf is affected, the leaf turns yellow and may collapse and eventually die. Elongated lesions also form on petioles, and these lesions can girdle the petiole and kill the entire leaf. The pathogen occasionally infects seedlings at or just below the soil line, resulting in damping off. 1,2,3

The Alternaria pathogens can survive in and on seed. They also can overwinter on infested crop residue and volunteer carrot plants. However, once residue decomposes, the pathogen cannot survive in the soil. Seedlings can become infected by seedborne inoculum or inoculum formed on infested debris. The infected seedlings are often killed, and the pathogen then sporulates on the dead and dying tissue. The spores are blown by wind or splashed by rain or overhead irrigation to other plants.1,3 Infection and disease development are favored by moderate to warm temperatures (57° to 95°F) and extended periods of leaf wetness. Eight to twelve hours of leaf wetness are needed for spores to germinate and infect. Spores can be carried long distances in the wind and on farm equipment.

When conditions are favorable and the pathogen is present, fungicides may be needed to manage Alternaria leaf blight. Start applications when symptoms first appear; however, in humid regions where the disease commonly occurs, treatments may need to start before any symptoms develop. Repeat applications as recommended by the fungicide label if conditions remain favorable for disease. Disease forecast models are available in some areas to help schedule applications. Adequate coverage of the foliage becomes difficult as the density of the crop’s canopy increases.1,3 

Figure 1. Symptoms of Alternaria leaf blight. Gerald Holmes, Strawberry Center, Cal Poly San Luis Obispo, Bugwood.org.

CERCOSPORA LEAF BLIGHT

Cercospora leaf blight is another important disease of carrot that occurs in most areas where carrots are grown. In contrast to Alternaria leaf blight, Cercospora leaf blight develops first on young tissues. As a result, it may occur in the field before Alternaria leaf blight. Symptoms of Cercospora leaf blight develop on all above ground tissues of carrot plants. The disease starts as small, necrotic flecks on the leaves, usually starting along the margins of the leaves. The flecks enlarge to form spots, which become circular when on the interior areas of the leaf or elongated when they form on the leaf margins (Figure 2a). The spots are brown with darker-brown margins and are often surrounded by a yellow halo. The spots multiply, enlarge, and coalesce to cause the leaf blight symptoms. Leaflets become yellow and curled at the margins. Eventually, they whither and die. Lesions on the petioles are elongated and brown with tan to light gray centers (Figure 2b). Petiole lesions can result in collapse and death of the whole leaf. As with Alternaria leaf blight, the breakage of weakened foliage can lead to roots being left in the field during mechanical harvesting.1,4

The fungus that causes Cercospora leaf blight overwinters on infested seed, in crop residue, and in the soil. It can also survive on volunteer plants and wild carrot species. Spores of the fungus are spread by wind, splashing water, by equipment, and on the clothing of workers. Twelve hours of leaf wetness are needed for the spores to germinate and infect. The disease is favored by temperatures between 68° and 86°F. The use of varieties with resistant to Cercospora leaf blight can be helpful in areas where the disease commonly occurs. 

Figure 2. Symptoms of Cercospora leaf blight. (A) Spots on leaflets. (B) Elongated lesions on petioles. Lindsey du Toit, Washington State University.

BACTERIAL LEAF BLIGHT

As the name indicates, bacterial leaf blight is caused by a bacterium, rather than a fungus. This disease is most damaging in areas that receive high amounts of rainfall or where sprinkler irrigation is used. The symptoms are similar to those seen with Alternaria leaf blight, and the services of a diagnostic lab may be needed to correctly identify the pathogen. Initial symptoms are small yellow, angular spots that develop on leaf margins. The spots expand to become irregularly shaped, brown, water-soaked lesions with yellow halos (Figure 3). The lesions can coalesce and cause the leaf blight symptom. Affected leaves become curled and distorted. Brown streaks can also develop on petioles, and elongated lesions can form on flower stalks. Entire flower clusters (umbels) can become blighted. A sticky, yellow-brown gummy exudate may form on affected tissues.3,5

The host range of bacterial leaf blight includes carrots and some other species in the carrot family. The bacterium is seedborne, both internal and external, and the bacterium can survive on crop residue in the soil for up to one year. The bacterium will not survive once the crop debris is completely decomposed. The disease spreads in splashing water (rain or overhead irrigation). Some plant to plant spread can occur with heavy dews. The disease can also be spread by insects, other animals, and equipment. Infection is favored by high rainfall levels (or overhead irrigation) and high humidity. The optimum temperature range for disease development is 77° to 86°F, and no infection occurs at temperatures below 65°F.3,5

Management strategies for bacterial leaf blight include the use of copper-based fungicides (bactericides) to help slow the spread of bacterial leaf blight.3,5

General management strategies for these three leaf blights include crop rotation away from carrots or related crops for at least two years. Locate new fields away from existing fields showing blight symptoms. Reduce planting densities to improve airflow in the canopy. Plow in crop residues promptly after harvest to reduce the overwintering of pathogens in crop residue. Plant only pathogen free (disease indexed) seed purchased from reliable sources. Treating seed with seed treatment fungicides can also lower the likelihood of bringing the fungal pathogens into the field.6

Carrot fields should be scouted bi-weekly, collecting leaf samples from randomly selected plants. Action thresholds of 25 to 50% of leaves showing symptoms are recommended for initiating the application of fungicides or bactericides. In humid growing areas, applications may need to begin before symptoms develop.1,4,6

Figure 3. Symptoms of bacterial leaf blight. Lindsey du Toit, Washington State University.

SOURCES

1 Pryor, B. and Strandberg, J. 2002. Alternaria leaf blight of carrot. In Compendium of Umbelliferous Crop Diseases. Davis, M. and Raid, R. editors. The American Phytopathological Society, St. Paul.
2 Scheufele, S. Carrots, identifying diseases. University of Massachusetts Amherst, Vegetable Extension Program. https://ag.umass.edu/vegetable/fact-sheets/carrots-identifying-diseases.
3 Nunez, J., Davis, R., Turini, T. 2009. How to manage pests: Carrot. UC Pest Management Guidelines. http://ipm.ucanr.edu/PMG/selectnewpest.carrots.html.
4 Raid, R. 2002. Cercospora leaf blight of carrot. In Compendium of Umbelliferous Crop Diseases. Davis, M. and Raid, R. editors. The American Phytopathological Society, St. Paul.
5 Gilbertson, R. 2002. Bacterial leaf blight of carrot. In Compendium of Umbelliferous Crop Diseases. Davis, M. and Raid, R. editors. The American Phytopathological Society, St. Paul.
6 Wyenandt. A. 2021. Controlling fungal leaf blights of carrot. Plant & Pest Advisory. Rutgers University.
Websites verified 10/1/2021

ADDITIONAL INFORMATION

For additional agronomic information, please contact your local seed representative.

Performance may vary from location to location and from year to year, as local growing, soil and weather conditions may vary.Growers should evaluate data from multiple locations and years whenever possible and should consider the impacts of these conditions on the grower’s fields. The recommendations in this article are based upon information obtained from the cited sources and should be used as a quick reference for information about carrot production. The content of this article should not be substituted for the professional opinion of a producer, grower, agronomist, pathologist and similar professional dealing with this specific crop.

BAYER GROUP DOES NOT WARRANT THE ACCURACY OF ANY INFORMATION OR TECHNICAL ADVICE PROVIDED HEREIN AND DISCLAIMS ALL LIABILITY FOR ANY CLAIM INVOLVING SUCH INFORMATION OR ADVICE.

9054_SE_S1 Published 10-21-2021

Bayer, Bayer Cross Design, and Seminis® are registered trademarks of Bayer Group. All other trademarks are property of their respective owners. © 2021 Bayer Group. All rights reserved. 

This browser is no longer supported. Please switch to a supported browser: Chrome, Edge, Firefox, Safari.